Disclaimer: While most patients treated by Dr Greensmith achieve the results they desire, it goes without saying that any surgical procedure entails a degree of risk. These risks will be discussed at your consultation. To ensure a safe recovery, arranging sufficient recovery time and support is essential. To read in more detail and risks and benefits of this procedure please go to the link in the bio and click on the detailed procedure information from ASPS and ASAPs my professional societies .
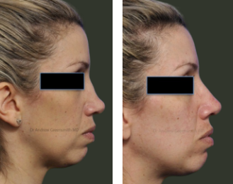
Due to variations in the healing of human tissue, small imperfections may remain or develop over the course of time or due to healing and ageing. A small minority of patients (between 1-5%) may require minor revision surgery at a reduced or minimal cost depending on various factors. Results are not subject to any form of warranty or guarantee and do not imply that your results will be the same or similar as results will vary between individuals. Before and after images are taken at approximately 6 months post-surgery unless otherwise stated. Before proceeding we encourage you to seek a second opinion from an appropriately qualified medical practitioner.
Disclaimer: While most patients treated by Dr Greensmith achieve the results they desire, it goes without saying that any surgical procedure entails a degree of risk. These risks will be discussed at your consultation. To ensure a safe recovery, arranging sufficient recovery time and support is essential. To read in more detail and risks and benefits of this procedure please go to the link in the bio and click on the detailed procedure information from ASPS and ASAPs my professional societies .
Due to variations in the healing of human tissue, small imperfections may remain or develop over the course of time or due to healing and ageing. A small minority of patients (between 1-5%) may require minor revision surgery at a reduced or minimal cost depending on various factors. Results are not subject to any form of warranty or guarantee and do not imply that your results will be the same or similar as results will vary between individuals. Before and after images are taken at approximately 6 months post-surgery unless otherwise stated. Before proceeding we encourage you to seek a second opinion from an appropriately qualified medical practitioner.